Top-rated Fishing Charters in Cedar Shores, TX
About KRB Outfitting Business Reviews
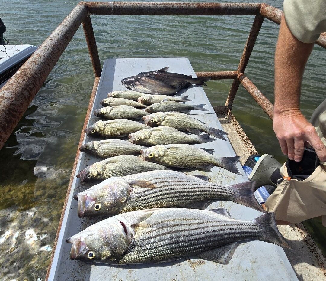
Take a look at what guests are saying about their time with KRB Outfitting and Captain Clay Baker. These 5-star reviews highlight the genuine experiences of anglers who’ve joined us on Lake Whitney and the Brazos River. From first-time fishers to seasoned anglers, our guests appreciate the patience, guidance, and down-to-earth approach that Captain Clay brings to every trip. Many mention the smooth booking process, friendly atmosphere, and of course—plenty of fish in the boat.
At KRB Outfitting, we’re proud to provide dependable, enjoyable, and personalized freshwater fishing experiences across Texas. Our goal is to make every trip a success, and that shows in the positive feedback from the folks who fish with us. We value every review and are grateful to all the families, friends, and individuals who’ve chosen us for their day on the water. Browse through their stories to get a feel for what your own trip could be like!
%2Ffit-in%2F250x250%2Fguide_websites%2F16572%2Fimages%2F1718786162785temp_logos_sheet-removebg-preview.png&w=1200&q=100)
/fit-in/users/e96ab822-58b3-47b8-9e76-433d39e5a077/rate-and-review/striped-bass-white-bass-catch-2637.jpg)
/fit-in/users/e96ab822-58b3-47b8-9e76-433d39e5a077/rate-and-review/successful-fishing-adventure-2517.jpeg)
/fit-in/users/e96ab822-58b3-47b8-9e76-433d39e5a077/rate-and-review/fishing-excursion-2507.jpeg)

